LinksCoat of ArmsWalksBilston's HistoryMore HistoryWeatherPoemsPuzzles

Bilstononline logo
Click above to Go Back to Front Page
Join the Bilston Online Email Group/Mailing List and become part of the discussion.
Click Here to Join


 History Pages P1 P2 P4 Town Hall
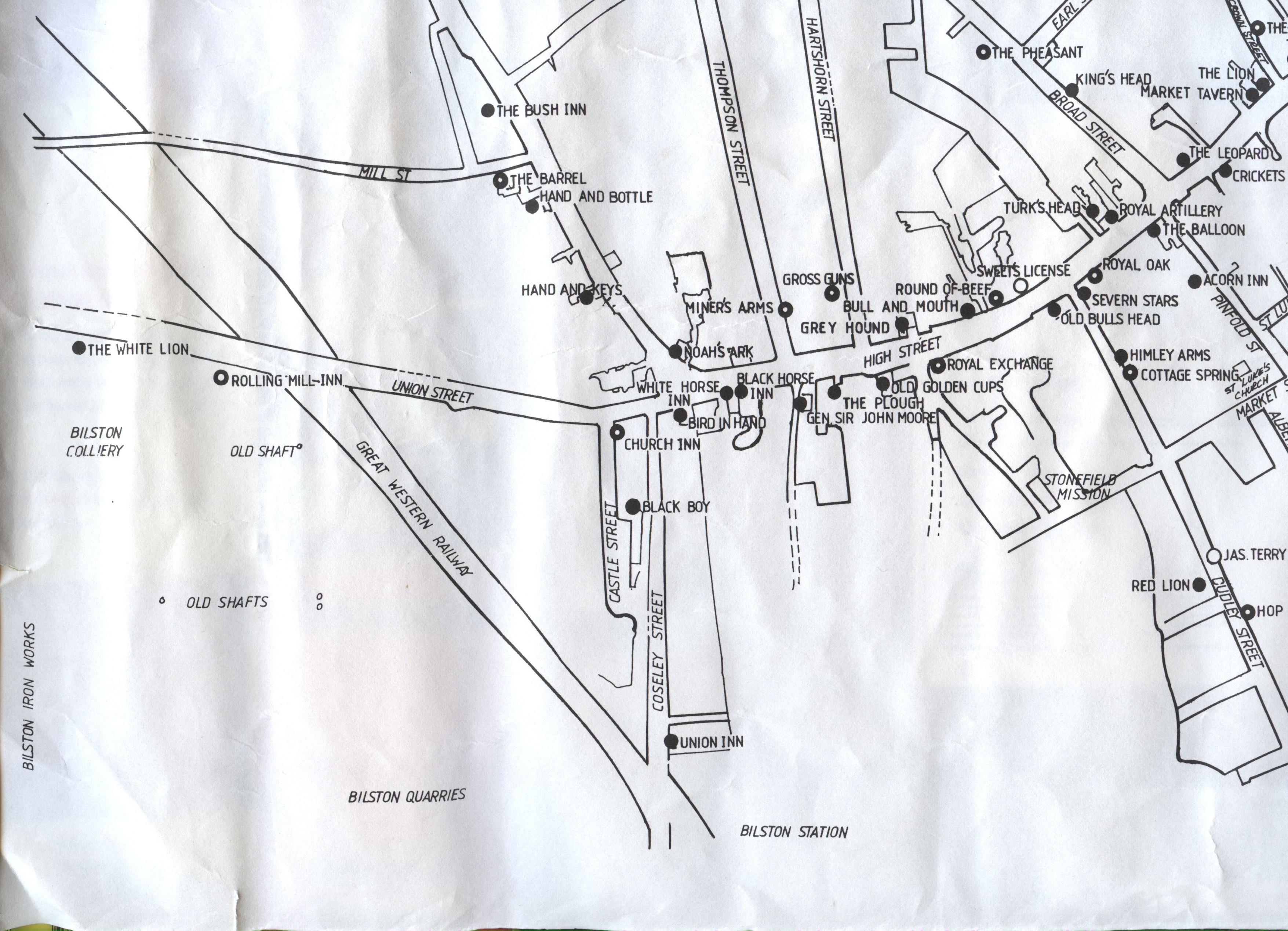
pub map pt1 Pub Map pt2 pub map
pubs map pubs map pubs map

The Original map was  scanned in six sections to ensure complete coverage. There is considerable overlap between the sections.
Click here to see a Photograph of the map in it's entirety
Ever wondered how a Pub got it's name? Some answers here  More information about Bilston Pubs here

Valid HTML 4.01 Transitional     Valid CSS!